Если цена в объявлении изменится, мы сразу сообщим вам об этом на электронную почту.
Нажимая «Подписаться», вы соглашаетесь с правилами.
продам земельный участок, Альшаны1 800 000 ₽
3 фев
Дата публикации объявления
Обн. 4 апр
Дата обновления объявления
4500 ₽/сотку
Параметры
Площадь участка400 соток
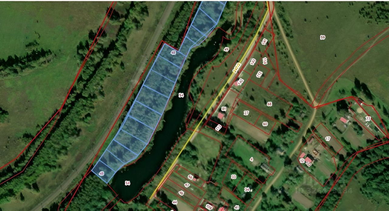
Предлагается к продаже земельный участок 4,4 Га в деревне Альшаны Бабынинского района Калужской области.
Земли населенных пунктов.
Участок расположен на берегу большого проточного пруда на реке Ольховка с возможностью рыбной ловли (запустили малька на 20 тыс. Руб.).
На участке вековые лесные деревья и дикая малина.
При правильном зонировании возможно межевание на минимум от 20 до 35 участков площадью от 10 до 20 соток.
Возможное применение: база отдыха, домики рыбака, жилищное и дачное строительство, включая строительство домов для постоянного места жительства.
Деревня газифицирована, проживание в деревне круглогодичное, дороги зимой чистят.
В Альшанах интенсивно идёт строительство домов под Ижс.
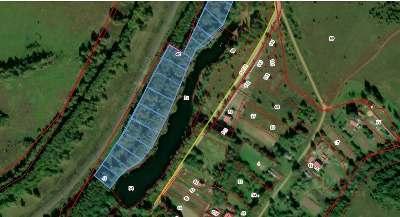
Предлагается к продаже земельный участок 4,4 Га в деревне Альшаны Бабынинского района Калужской области.
Земли населенных пунктов.
Участок расположен на берегу большого проточного пруда на реке Ольховка с возможностью рыбной ловли (запустили малька на 20 тыс. Руб.).
На участке вековые лесные деревья и дикая малина.
При правильном зонировании возможно межевание на минимум от 20 до 35 участков площадью от 10 до 20 соток.
Возможное применение: база отдыха, домики рыбака, жилищное и дачное строительство, включая строительство домов для постоянного места жительства.
Деревня газифицирована, проживание в деревне круглогодичное, дороги зимой чистят.
В Альшанах интенсивно идёт строительство домов под Ижс.
Удобная транспортная доступность: круглогодичный подъезд на авто, рядом ж/д платформа 218-й километр, до районного центра Бабынино 2 км., дo Киевcкой трассы 4км., до Калуги (Гагаринская развязка) 53 км. 1 час от Калуги на электричке 6135 Калуга-1 — Сухиничи-Главные до платформы 218 км., электрички ходят 4 раза в день.